Nile tilapia (Oreochromis niloticus), a cornerstone of global aquaculture, thrives due to its adaptability, rapid growth, and diverse diet, playing a vital role in food security and economic development worldwide.
The importance of selecting feed based on tilapia fingerling size is crucial for promoting growth, improving feed efficiency, and reducing operational costs, while natural feed supplements also enhance survival rates and harvest quality.
The nursery stages of tilapia fry are essential for supporting optimal growth and sustainable production. Through seed selection, water management, and proper feeding, the nursery phase enhances the uniformity of fry size and overall aquaculture success.
Smoked tilapia is not only delicious but also rich in nutrients that are beneficial for health. This review presents the nutritional advantages and benefits of smoked tilapia, as well as explains the traditional smoking process that makes it more durable
Managing fishery waste is a crucial step in minimizing environmental impact and transforming fishery by-products into valuable products.
Controlling pests in tilapia fry is essential for maintaining productivity in freshwater aquaculture. This discussion will cover the factors that contribute to pest infestations, the types of pests commonly encountered, and effective methods for sustainab
This article discusses the nutritional content of tilapia, its health benefits, and comparison with other freshwater fish. Tilapia is known for its high protein and low fat content.
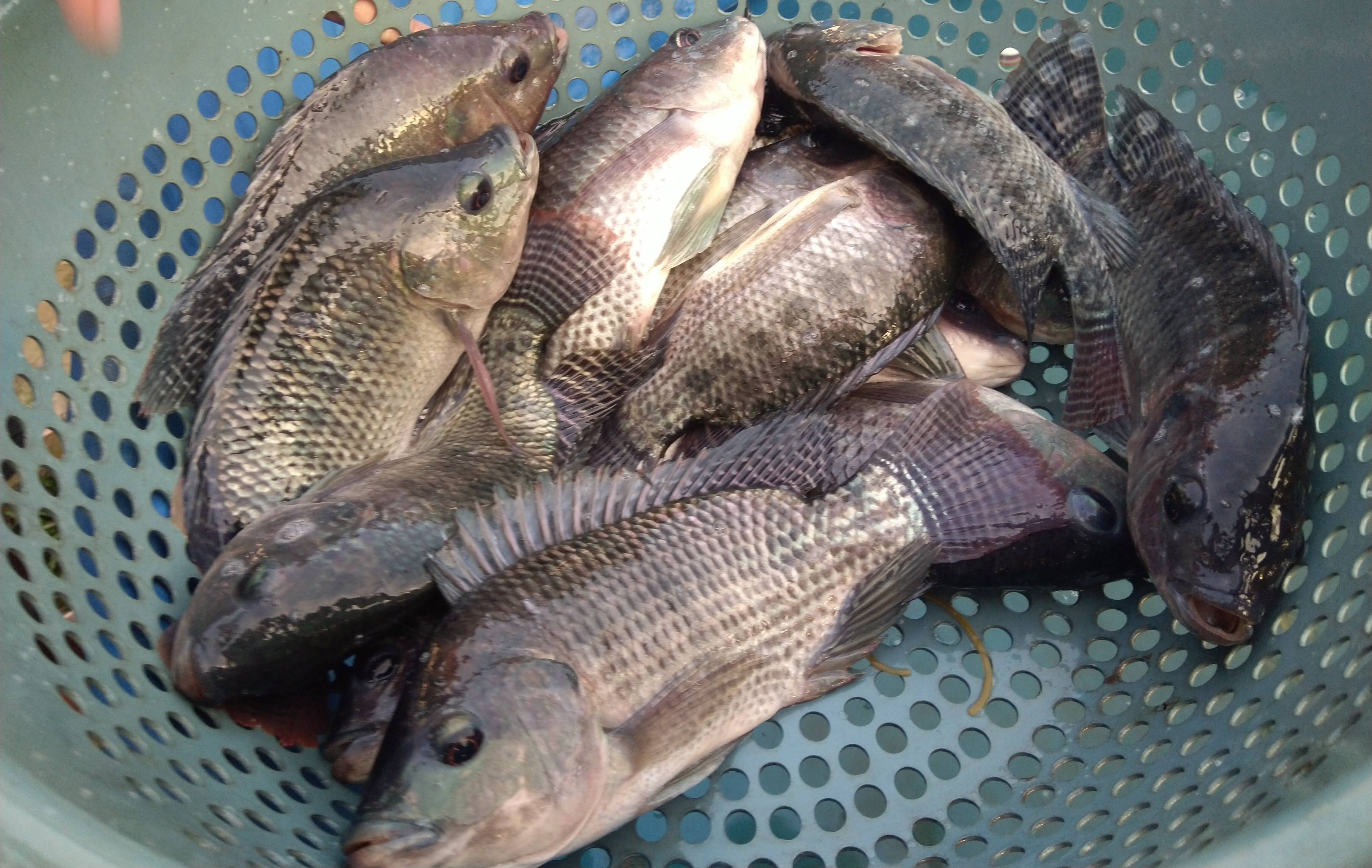
This article discusses the importance of choosing quality tilapia fingerlings, covering size, growth, activity, physical fitness, disease resistance, and environmental adaptation. Selecting optimal fingerlings is crucial for tilapia cultivation.
This article provides a comprehensive guide on tilapia fish breeding and egg incubation techniques, emphasizing preparation, process, and success determinants. In-depth knowledge is presented to ensure the survival of the fry.
This article highlights the uniqueness of red tilapia in the aquaculture industry. Red tilapia stands out with its fast growth, appealing physical appearance, and significant market potential.
This article discusses the nutritional needs and feeding techniques for tilapia, focusing on broodstock and larval stages. Key nutrients include protein, carbohydrates, and fats. Feeding follows precise patterns and compositions.
Tilapia farming offers rapid reproduction and environmental adaptability. This article addresses common issues like location selection, quality seedlings, proper feeding, water quality, and supplemental products, providing solutions for novice farmers.
Tilapia farming in tarpaulin ponds offers a cost-effective and sustainable solution for urban areas with limited land, combining efficient space use, high productivity, and simple construction to support food security and economic resilience.
Tilapia farming in earthen ponds exemplifies a sustainable and accessible aquaculture practice, offering practical steps for efficient production and addressing global food security challenges.
From its African origins to its global prominence in aquaculture, tilapia's journey epitomizes resilience and adaptability, driving sustainable development and economic growth in modern fisheries worldwide.